Sprzedam działki rolno- budowlane obręb Ignatki ul Urocza
Ignatki gm. Wyszki Pokaż na mapie ›
Dodane: Wtorek, 09 Grudzień, 2025 08:21
750 000 zł
Szczegóły ogłoszenia
- Kategoria: Działki i grunty / Sprzedaż
- Sprzedaż:Bez pośredników
- Cena: 750 000 zł
Opis oferty
Marzysz o własnym domu w spokojnej, malowniczej okolicy, a jednocześnie z łatwym dostępem do miasta? Ta oferta jest właśnie dla Ciebie!SPRZEDAŻ BEZ POŚREDNIKÓW POZWOLI ZAOSZCZĘDZIĆ KILKANASCIE TYSIECY ZŁOTYCH
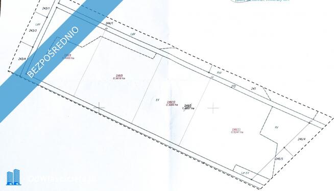
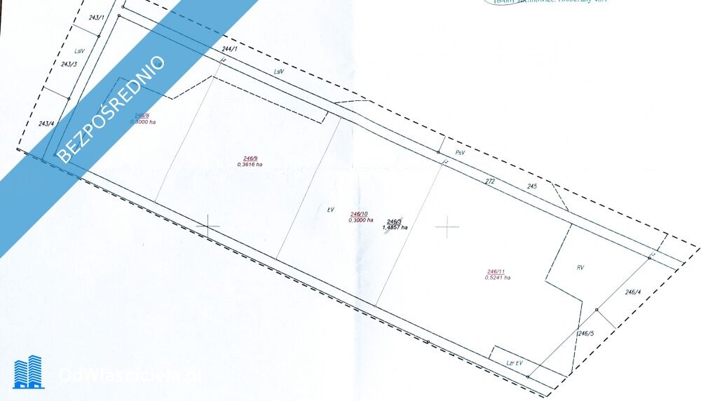
Sprzedam działki rolno-budowlane obręb Ignatki ul Urocza o nr ewidencyjnych: 246/8 246/9 246/10 246/11 o różnych wymiarach i powierzchniach tj. od 3000 do 5240 m² co widoczne jest na załączonym zdjęciu.
Działki objęte są miejscowym planem zagospodarowania przestrzennego miast Białystok.
Dojazd od ul Uroczej po obu stronach działek
media: prąd w drodze, ul. Urocza
Cena 250 zł m² do negocjacji.
Piękna malownicza okolica.
Ogłoszenie dodane do wielu portali nieruchomości przez portal www.odwlasciciela.pl
Sprawdź zainteresowanie tym ogłoszeniem
Wyświetlenia
Data dodania
Ostatnio widziany
Obserwujących
Wysłane zapytania
Odsłony telefonu
- Wypromuj ogłoszenie
- Zgłoś naruszenie
- Drukuj ulotkę
- Edytuj/usuń ogłoszenie
- Udostępnij ogłoszenie
- Dodaj na Facebook

